Start Bootstrap Logo

Trends Sci. 2026; 23(2): 11453

Thai Traditional Remedy “Mathurameha” Attenuates Brain Complications in High-Fat Diet/Streptozotocin-Induced Diabetic Rats


Utcharaporn Kamsrijai1,*, Surachet Woottisin1, Keerakarn Somsuan1,2,

Arunothai Wanta1,2, Siwaporn Praman1, Narudol Teerapattarakan1,

Nanthakarn Woottisin4 and Rawiwan Charoensup3,4


1School of Medicine, Mae Fah Luang University, Chiang Rai 57100, Thailand

2Cancer and Immunology Research Unit (CIRU), Mae Fah Luang University, Chiang Rai 57100, Thailand

3Medicinal Plants Innovation Center of Mae Fah Luang University, Chiang Rai 57100, Thailand

4School of Integrative Medicine, Mae Fah Luang University, Chiang Rai 57100, Thailand


(*Corresponding author’s e-mail: [email protected])


Received: 31 July 2025, Revised: 6 August 2025, Accepted: 16 August 2025, Published: 20 November 2025


Abstract

Type 2 diabetes mellitus (T2DM) is a chronic metabolic disorder increasingly recognized for its detrimental effects on the central nervous system. Mathurameha, a traditional Thai herbal remedy, has long been used for diabetes treatment. However, the neuroprotective potential of Mathurameha to protect the brain against damage in diabetes has never been identified. Male Sprague-Dawley rats were induced with T2DM via a high-fat diet (HFD) and a single intraperitoneal injection of streptozotocin (STZ; 40 mg/kg). The ethanol extract of Mathurameha (20, 100 and 200 mg/kg) was administered orally to diabetic rats daily for 35 days. Following sacrificed, hippocampus was harvested and subjected for histological and molecular biological analyses. T2DM significantly reduced hippocampal neuronal survival. This effect was notably ameliorated by treatment with Mathurameha, with the 200 mg/kg dose demonstrating the most pronounced improvement. Furthermore, diabetic rats exhibited decreased expression of brain-derived neurotrophic factor (BDNF) and glucose transporter 1 (GLUT1), both of which were significantly restored following Mathurameha treatment. Mathurameha demonstrated a dose-dependent effect. Treatment at 20 and 100 mg/kg body weight did not significantly increase BDNF and GLUT1 levels compared to the untreated diabetic group. However, administration at 200 mg/kg body weight significantly restored BDNF and GLUT1 expression (p < 0.05). These findings suggest that Mathurameha exerts neuroprotective effects in T2DM, likely through the upregulation of BDNF and GLUT1, supporting its therapeutic potential in diabetes-associated neurodegeneration.


Keywords: Mathurameha, Diabetes mellitus, Diabetes complications, Hippocampus, Neurodegeneration, Brain-derived neurotrophic factor, Glucose transporter 1


Introduction

Type 2 diabetes mellitus (T2DM) is a chronic metabolic condition characterized by persistent hyperglycemia and dysregulation of glucose and lipid metabolism, primarily arising from insulin resistance at the cellular level [1]. According to the latest data from the International Diabetes Federation (IDF) Diabetes Atlas 2025 [2], the global number of adults living with diabetes is projected to reach approximately 853 million by 2050, representing an increase of 46%, with 1 in 8 adults affected. T2DM is the most prevalent form, accounting for over 90% of the current 537 million diabetes cases worldwide. Recent epidemiological and clinical research emphasizes that T2DM heightens the risk of cognitive deficits, particularly among older adults and those with prolonged disease duration [3-5]. Additionally, T2DM has been shown to significantly increase the risk of Alzheimer’s disease (AD), with estimates suggesting a 1 to 5- fold higher likelihood compared to individuals without T2DM [6]. This connection is partially explained by the ability of insulin and glucose to cross the blood-brain barrier (BBB), thereby influencing central nervous system function.

A high-fat diet (HFD) combined with a single low-dose streptozotocin (STZ) rat model is one of the most widely used and well-established experimental models of T2DM [7,8], with findings corroborated by human studies demonstrating increased brain atrophy and small vessel disease in diabetic individuals [9-11]. Disrupted cerebral glucose metabolism may contribute to AD years before symptoms appear that can lead to reduced hippocampal volume and microvascular changes, impairing memory learning, and neurotransmission [12,13]. Furthermore, impaired glucose utilization may decrease neurotransmitter synthesis, further compromising synaptic function and cognition [10]. Neurotrophins are crucial regulators of central nervous system function, promoting neuronal development, maintenance, and differentiation. Among these, brain-derived neurotrophic factor (BDNF) is particularly important for supporting neurogenesis, modulating synaptic plasticity, and influencing cognitive processes such as learning and memory [14,15]. Additionally, BDNF exhibits both neuroprotective and angiogenic properties [16,17].

Mathurameha, a traditional Thai polyherbal remedy, comprises 26 medicinal plant species. This formulation, officially endorsed by the Foundation for the Promotion of Thai Traditional Medicine, reflects long-standing institutional support for its use in diabetes management by the Ayuravedic (Chevagakomarapat) school [18]. Additionally, this formulation is listed in the official formularies of several hospitals and is routinely prescribed in Thai healthcare settings as part of an integrative approach to managing diabetes-related conditions. A retrospective clinical study reported that adjunctive use of Mathurameha with standard antidiabetic agents, such as metformin or sulfonylureas, was associated with a statistically significant reduction in plasma glucose concentrations in patients with T2DM [19]. A 6-month clinical trial in diabetic patients using doses ranging from 350 to 700 mg reported only non-serious adverse drug reactions [19,20]. The most commonly reported symptoms included dizziness, dyspnea, syncope, dry mouth, and headache. These results suggest a potential synergistic effect, highlighting the value of integrating traditional herbal formulations with conventional pharmacotherapy for improved glycemic control. In diabetic rat models, oral administration of the aqueous extract of Mathurameha was associated with a dose-dependent reduction in postprandial glucose levels, reaching up to 17.94%. In addition to its glucose-lowering effects, the extract favorably influenced multiple biochemical parameters indicative of improved metabolic function. Importantly, no evidence of acute hepatotoxicity or nephrotoxicity was observed, underscoring the safety profile of the formulation [18]. Recent studies have demonstrated that Mathurameha has been shown to modulate the epidermal growth factor (EGF) / nitric oxide (NO) / interleukin-1beta (IL-1β) signaling pathway in human endothelial cells exposed to high glucose, with observed effects including reduced oxidative stress and improved markers of vascular function [21]. Furthermore, in HFD/STZ-induced type 2 diabetic rats, Mathurameha has been associated with a reduction in cardiovascular complications, potentially linked to its antioxidant and anti-inflammatory properties [22]. Collectively, current evidence suggests a potential role for Mathurameha in the management of diabetic vascular complications. However, to our knowledge, no studies have investigated the effects of Mathurameha on the brains of diabetic rat models, despite its known antioxidant and anti-inflammatory properties that may provide neuroprotective benefits against diabetes-induced cognitive decline and neuronal damage. The purpose of the present study was to exploring this traditional polyherbal formulation could offer valuable insights into developing novel therapies for diabetic neuropathies and brain function preservation.


Materials and methods

Extraction of Mathurameha remedy

Medicinal extracts of the Mathurameha remedy were prepared according to protocols established by the Medicinal Plants Innovation Center of Mae Fah Luang University, Thailand. Twenty-six medicinal herbs comprising the Mathurameha formula were ground together to produce a coarse powder. Ethanol extraction was performed on 20, 100 and 200 g of the powdered material, respectively. The doses of ethanol extract used in this study corresponded to an equivalent human dose [19], No severe cytotoxic effects were reported following administration of the extracts [22]. The extract was subsequently filtered, evaporated under reduced pressure, and freeze-dried, resulting in 11 g (5.5%) of solid crude ethanolic extract. Details of the Mathurameha formula and the LC-QTOF-MS/MS chromatogram of the extract have been published previously by our research group [22].


Animals and ethical statement

Male 6-week-old Sprague-Dawley rats weighing 160 - 180 g (Nomura Siam International Co., Ltd., Bangkok, Thailand) were housed under standard environmental conditions (22 ± 2 C, and 12-hour light/dark cycle). Rats were acclimatized for 1 week, during which time they were provided ad libitum access to standard chow and water. All the experimental procedures described in the present study were approved by the Institutional Animal Care and Use Committee of Mae Fah Luang University (Approval no. AR 08/65).


Experimental design and establishment of a T2DM rat model.

After a one-week adaptation period, rats were randomly assigned to 2 dietary groups: A normal diet group (ND; Group 1) and a type 2 diabetes mellitus group (DM; Groups 2 - 6). Rats in the ND group received a standard chow diet, while those in the DM group were fed a high-fat diet (HFD) for 3 weeks. The standard chow diet (10 kcal% fat; product no. D12450J) and the high-fat diet (60 kcal% fat; product no. D12492) were sourced from Research Diets, Inc. (USA). On day 28 of the experiment, rats in the HFD group received a single intraperitoneal (i.p.) injection of streptozotocin (STZ; Sigma-Aldrich, St. Louis, MO), dissolved in 50 mM citrate buffer (pH 4.5), at a dose of 40 mg/kg body weight, according to a modified protocol described by Srinivasan et al. [23]. Meanwhile, control rats were administered an i.p. injection of an equivalent volume of citrate buffer. Three days after the STZ injection, fasting blood glucose (FBG) levels were measured from the lateral tail vein using an Accu-Chek Performa glucometer (Roche Diagnostics Inc., Indianapolis, IN). Rats that exhibited classical diabetic symptoms of polydipsia and polyuria, along with FBG levels equal to or exceeding 160 mg/dL, were classified as diabetic in accordance with models aiming to mimic mild to moderate hyperglycemia or early-stage type 2 diabetes [24,25]. These rats were then subdivided into 5 treatment groups (groups 2 - 6, N = 6) for further study. Beginning on day 35, rats in both ND and DM groups were treated daily by oral gavage with either 1 mL saline (ND), Mathurameha remedy, or metformin until the end of the experimental period, as illustrated in Figure 1. The group allocations are as follows:


Group 1: Non-diabetic rats on the standard chow diet (ND).

Group 2: Diabetic rats fed a high-fat diet and treated with vehicle (DM).

Group 3: Diabetic rats fed a high-fat diet and treated orally with Mathurameha at a dose of 20 mg/kg body weight (DM + MH20).

Group 4: Diabetic rats fed a high-fat diet and treated orally with Mathurameha at a dose of 100 mg/kg body weight (DM + MH100).

Group 5: Diabetic rats fed a high-fat diet and treated orally with Mathurameha at a dose of 200 mg/kg body weight (DM + MH200).

Group 6: Diabetic rats fed a high-fat diet and treated orally with metformin at a dose of 300 mg/kg body weight (DM + MET).


Figure 1 Schematic representation of the experimental design. The workflow outlines the induction protocol for high-fat diet/streptozotocin (HFD/STZ)-induced type 2 diabetes mellitus in rats and the subsequent treatment with Mathurameha.


Brain tissue collection

At the end of the experiment, the rats were euthanized via i.p. injection of thiopental sodium (40 mg/kg body weight), followed by brain removal. The brains were carefully extracted and rinsed with ice-cold phosphate-buffered saline (PBS). The left hemisphere was fixed in 4% paraformaldehyde in 0.1 M PBS (pH 7.4) for 48 h to facilitate paraffin embedding and subsequent histopathological analysis. The hippocampus from the right hemisphere was dissected and stored at −80  C for later molecular and biochemical analyses.


Determination of the hippocampal level of the BDNF

The concentration of BDNF in the hippocampus was measured using ELISA kit (E-EL-R1235; Elabscience, China), based on the sandwich ELISA technique, in accordance with the manufacturer’s guidelines. Briefly, the left hippocampus was homogenized in PBS. Following homogenization, the supernatant was collected by centrifugation at 1,000×g for 15 min at 4  C. Standards and samples were added to the micro-ELISA plate, which was pre-coated with an antibody specific to rat BDNF. The absorbance was measured using Tecan Spark multimode microplate reader (Tecan Austria GmbH, Grödig, Austria) at a wavelength of 450 nm. The concentrations were determined from a standard curve and were reported in pg/mL protein.


Cresyl violet staining procedure

Following fixation, brain tissues were dehydrated through a graded ethanol series, followed by xylene infiltration. The tissues were then embedded in paraffin and sectioned at a thickness of 5 µm using a rotary microtome (Thermo Scientific Microm HM325, Thermo Scientific, Germany). Sections were stained with cresyl violet 0.1% (ab246816; Abcam, Cambridge, UK) to observe the relevant microanatomical changes. Three hippocampal sections per rat were selected to assess neuronal morphology in the cornu ammonis (CA1, CA3, and CA4) regions and the dentate gyrus (DG), using images acquired with a digital slide scanner (Axioscan 7; ZEISS, Germany). The number of surviving neurons, identified as cells with round and lightly stained nuclei, was quantified per 100 μm using the ImageJ Fiji program (https://fiji.sc/).



Fluorescent immunocytochemical staining

Immunofluorescence staining was performed on paraffin-embedded brain sections. The procedure began with deparaffinization through sequential immersion in a graded series of xylene, followed by rehydration using a descending ethanol gradient. Antigen retrieval was carried out in 0.2 M Tris-HCl buffer, pre-heated in an autoclave at 95 C for 15 min. After cooling to room temperature, the slides were rinsed twice with PBS. Permeabilization was achieved by incubating the sections with 0.1% Triton X-100 for 15 min, followed by a PBS rinse. Non-specific binding was blocked using 5% BSA in PBS for 30 min at room temperature. After washing, the sections were incubated overnight at 4 C with a rabbit monoclonal anti-glucose transporter-1 (GLUT1) antibody (1:500, ab115730; Abcam, Cambridge, UK). The following day, the sections were incubated for 1 h at room temperature with a donkey anti-rabbit IgG H&L secondary antibody conjugated to Alexa Fluor 488 (1:400, ab150073; Abcam, Cambridge, UK). Nuclei were counterstained with Hoechst 33342 (1:2000, Abcam, Cambridge, UK) for 10 min. After a final series of PBS washes (3 min each), the slides were mounted with anti-fade fluorescence mounting medium (ab104135; Abcam, Cambridge, UK), and the coverslips were sealed with nail polish. Fluorescence images were acquired using a Zeiss Axio Scope A1 fluorescence microscope (Carl Zeiss Suzhou Co., Ltd., Suzhou, China).


Western blot analysis

Hippocampal samples (0.1 ± 0.02 g) were homogenized in RIPA lysis buffer (sc-24948A; Santa Cruz Biotechnology) supplemented with a protease inhibitor cocktail (Sigma-Aldrich). The supernatant was collected for protein quantification using the Quick Start Bradford Protein Assay (Bio-Rad Laboratories) with BSA as the standard. Subsequently, 20 µg of protein per sample was separated by 12% SDS-PAGE and transferred onto a nitrocellulose membrane. The membrane was incubated overnight at 4  C with rabbit monoclonal anti-GLUT1 antibody (1:500 dilution, ab115730; Abcam, Cambridge, UK) and rabbit polyclonal anti-beta actin antibody (1:2,500 dilution; AF7018, Affinity). After washing with PBS containing 0.05% Tween-20, the membrane was incubated at room temperature with horseradish peroxidase (HRP)-conjugated secondary antibody (goat anti-rabbit IgG; 1:5,000 dilution, AB672; Abcam) for 60 min for anti-GLUT1 and 120 min for anti-β-actin. Protein bands were visualized using Clarity™ Western ECL Substrate and imaged with the ChemiDoc™ Touch Imaging System (Bio-Rad Laboratories, Inc.). Band intensities were normalized to the corresponding beta-actin signals.


Statistical analysis

Data are presented as mean ± standard error of the mean (SEM). Statistical comparisons among groups were performed using one-way analysis of variance (ANOVA), followed by Bonferroni post hoc tests to assess pairwise differences. The differences among groups were considered statistically significant at P values of less than 0.05. All statistical analyses and graphical representations were conducted using GraphPad Prism version 8 for Windows (GraphPad Software, San Diego, CA, USA). All histological and molecular analyses were performed by investigators who were blinded to the treatment groups to minimize bias and ensure the reliability of the results.


Results and discussion

Effect of Mathurameha on histological changes in the hippocampus of T2DM rats

The neuroprotective effects of the Mathurameha remedy were evaluated through histopathological examination of the hippocampus using cresyl violet staining. Morphological analysis focused on neuronal survival in the hippocampal subregions CA1, CA3, CA4, and the dentate gyrus (DG) - as shown in Figure 2. Neurons in the ND group displayed normal morphology, with rounded or oval-shaped cell bodies, well-defined nucleoli, and intact cytoplasmic boundaries (Figures 2.1(A) to 2.1(D)). In contrast, the DM group exhibited pronounced degenerative changes, such as hyperchromatic, condensed nuclei and shrunken, darkened neurons arranged loosely in the parenchyma (Figure 2.2(A) to 2.2(D)), indicative of neuronal loss and degeneration under diabetic conditions. Similar pathological features persisted in the DM + MH20 group (Figures 2.3(A) and 2.3(D)), suggesting that a low dose of Mathurameha had limited neuroprotective impact. However, treatment with Mathurameha in DM + MH100 (Figures 2.4(A) to 2.4(D)) and DM + MH200 (Figures 2.5(A) to 2.5(D)) groups led to observable improvements in neuronal morphology, particularly within the CA3, CA4, and DG regions. The number of neurons exhibiting pyknosis or shrinkage was notably reduced. Likewise, the DM + MET group showed similar amelioration of histopathological changes (Figures 2.6(A) to 2.6(D)), highlighting the comparative efficacy of Mathurameha at higher doses. Quantitative analysis (Figures 3(A) to 3(D)) confirmed these histological findings. No significant difference in neuronal counts was observed in the CA1 region across all groups (p > 0.05), suggesting that this region may be less susceptible to early diabetic injury. This finding may be attributed to the relatively early time point of assessment, at which neurodegenerative changes may not yet be prominent. Additionally, the level of hyperglycemia and metabolic stress induced in this model may not have been sufficient to cause detectable neuronal loss in the CA1 region, which is typically more affected under prolonged or more severe pathological conditions.However, the DM group had significantly fewer viable neurons in the CA3 (p < 0.001), CA4 (p < 0.001), and DG (p < 0.0001) compared to the ND group. While the DM + MH20 group showed a non-significant trend toward increased neuronal survival (p > 0.05), the DM + MH100 group significantly restored neuron numbers in the DG (p < 0.05), and the DM + MH200 group exhibited marked improvements in both the CA3 (p < 0.05) and DG (p < 0.001) regions. The DM + MET group also showed significant restoration of neuronal density in the CA3, CA4 and DG regions (p < 0.01, p < 0.001, and p < 0.001, respectively), suggesting comparable neuroprotective potential between high-dose Mathurameha and standard treatment. These results align with previous studies reporting the antioxidative and anti-inflammatory effects of Mathurameha in the vascular system of diabetic models [18,21]. In addition to cardiovascular benefits [22], this study is the first to extend Mathurameha’s therapeutic profile to the central nervous system. The observed hippocampal neuroprotection suggests broader systemic benefits that could mitigate diabetic complications, including those affecting cognition and memory. T2DM is known to induce diabetic encephalopathy, characterized by disrupted cerebral glucose metabolism and hippocampal damage [26]. The HFD/STZ-induced rat model replicates key features of T2DM, including hyperglycemia, insulin resistance, hepatic steatosis, and cognitive decline [13,27]. This model also consistently shows hippocampal neuronal loss and reduced microvascular density [26,28]. Consistent with these reports, our study confirms that hippocampal neurons, particularly in the CA3, CA4, and DG regions, are highly susceptible to diabetes-induced damage. Mathurameha treatment attenuated neuronal degeneration in a dose-dependent manner, with the 200 mg/kg dose showing particularly strong effects comparable to those of metformin. Metformin was used as a positive control due to its well-established neuroprotective properties, as demonstrated in various studies using diabetic models [13,29,30], thereby providing a relevant benchmark for assessing the efficacy of Mathurameha. In summary, this study demonstrates for the 1st time that Mathurameha exerts neuroprotective effects in a diabetic rat model by reducing neuronal loss in vulnerable hippocampal regions. These findings support the continued investigation of Mathurameha as a candidate therapy not only for glycemic control and cardiovascular protection but also for mitigating neurodegenerative complications of diabetes. Future studies should explore the molecular pathways involved in its neuroprotective actions.

.


Figure 2 Effects of Mathurameha on histopathological changes in the hippocampus of diabetic rats. Cresyl violet-stained sections of the hippocampal subregions, including the cornu ammonis areas (CA1, CA3, CA4) and the dentate gyrus (DG), were examined to assess the histopathological effects of Mathurameha in male diabetic rats. Images are presented for each experimental group as follows: normal diet control rats (1(A) - 1(D)); diabetic rats (2(A) - 2(D)); diabetic rats treated with Mathurameha at 20 mg/kg (3(A) - 3(D)), 100 mg/kg (4(A) - 4(D)) and 200 mg/kg (5(A) - 5(D)); and diabetic rats treated with metformin at 300 mg/kg (6(A) - 6(D)). Black arrows indicate morphologically normal neuronal cells, while black arrowheads denote pyknotic neurons, indicative of neuronal degeneration. Scale bars represent 200 µm for images captured at 40× magnification and 100 µm for those at 200× magnification.

Figure 3 Quantification of surviving neurons in the hippocampal subregions is presented as mean ± SEM. Bar graphs (A-D) illustrate the number of surviving neurons in the CA1, CA3, CA4, and dentate gyrus (DG) regions across the experimental groups. Statistical analysis was performed using one-way ANOVA followed by Bonferroni post hoc tests. *** and **** indicate statistically significant differences at p < 0.001 and p < 0.0001, respectively, compared with the ND group. #, ## and ### indicate statistically significant differences compared to the DM group at p < 0.05, p < 0.01, and p < 0.001, respectively. ND = normal diet control rats, DM = diabetic rats, DM + MH20 = diabetic rats treated with Mathurameha at 20 mg/kg, DM + MH100 = diabetic rats treated with Mathurameha at 100 mg/kg, DM + MH200 = diabetic rats treated with Mathurameha at 200 mg/kg, DM + MET = diabetic rats treated with metformin


Effects of Mathurameha on hippocampal BDNF levels in T2DM rats

As shown in Figure 4(A), rats in the DM group exhibited a significant reduction in hippocampal BDNF levels compared to the ND control group (p < 0.0001), indicating a marked disruption in neurotrophic support under diabetic conditions. This reduction is consistent with impairments in synaptic plasticity, neuronal survival, and cognitive function observed in diabetic models. Mathurameha treatment in DM + MH20 and DM + MH100 groups did not significantly elevate BDNF levels compared to the untreated DM group, suggesting these doses were insufficient to reverse the neurotrophic deficits. However, DM + MH200 group significantly restored BDNF expression (p < 0.05), showing an effect comparable to that of DM + MET group, the standard pharmacological control. These findings support a dose-dependent neuroprotective effect of Mathurameha, with the highest dose demonstrating therapeutic relevance. BDNF is a critical neurotrophin involved in neuronal development, synaptic plasticity, and long-term potentiation [14]. Under physiological conditions, BDNF is abundantly expressed in the hippocampus and cerebral cortex [31], but its levels are significantly reduced in both T2DM patients and diabetic animal models [32-34]. This reduction is associated with cognitive impairment, inhibition of synaptic function, and impaired memory consolidation [35,36]. The present study corroborates these findings, showing decreased hippocampal BDNF in HFD/STZ-induced diabetic rats and its restoration by high-dose Mathurameha. Importantly, increased BDNF in the DM + MH200 group may reflect enhanced neuronal plasticity [37] and provides a mechanistic basis for potential cognitive improvement [38]. BDNF exerts its effects primarily through binding to its receptor, TrkB, activating downstream signaling cascades such as the ERK pathway via cAMP and CREB transcription factors [39]. This signaling enhances neuronal survival, promotes neurogenesis, and supports memory function [40]. Taken together, these findings suggest that Mathurameha’s neuroprotective effects in diabetic rats are, at least in part, mediated by the restoration of hippocampal BDNF levels. The activation of BDNF/TrkB signaling may underlie improvements in neural resilience and cognitive function. Future studies should further explore these molecular mechanisms and the therapeutic implications of Mathurameha for diabetes-associated cognitive decline.


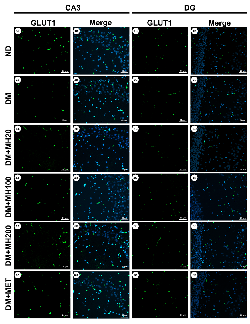
Effects of Mathurameha on hippocampal GLUT1 protein expression in T2DM rats

As illustrated in Figure 4(B), hippocampal GLUT1 protein expression was significantly reduced in the DM group compared to the ND control (p < 0.01), indicating impaired glucose transport across the BBB under diabetic conditions. Mathurameha administration in DM + MH20 and DM + MH100 groups did not significantly alter GLUT1 expression relative to the DM group, suggesting insufficient efficacy at these lower doses. However, the DM + MH200 group significantly upregulated GLUT1 levels (p < 0.05), indicating a dose-dependent effect. These findings suggest that high-dose Mathurameha may partially restore GLUT1 expression, potentially improving cerebral glucose availability in diabetic rats. Immunofluorescence staining supported the Western blot results, revealing the localization and intensity of GLUT1 expression in hippocampal CA3 and dentate gyrus regions (Figure 5). In ND rats, GLUT1 immunoreactivity was observed along blood vessels, particularly in perivascular endothelial cells and astrocytic end-feet (Figures 5.1(A) to 5.1(D)), consistent with its known localization at the BBB. In contrast, the DM group displayed markedly reduced fluorescence intensity (Figures 5.2(A) to 5.2(D)), indicating downregulation of GLUT1 in response to hyperglycemia and insulin resistance. No appreciable restoration was seen in the DM + MH20 and DM + MH100 groups (Figures 5.3(A) to 5.4(D)). However, both the DM + MH200 and DM + MET groups showed enhanced GLUT1 staining, particularly in vascular and astrocytic regions (Figures 5.5(A) to 5.6(D)), suggesting recovery of GLUT1 expression at the neurovascular interface. These results align with previous studies showing that GLUT1 downregulation contributes to impaired glucose transport in diabetes [41-43]. GLUT1, a key glucose transporter of the BBB, facilitates passive diffusion of glucose into the brain, supporting neuronal energy demands [44]. Its expression is essential for maintaining cerebral glucose homeostasis, and its suppression under diabetic conditions contributes to metabolic and cognitive deficits [45,46]. Impaired GLUT1 expression has been documented in both chemically induced and spontaneous diabetic rat models, leading to reduced glucose uptake and subsequent neurodegeneration [45,47]. The present study confirms this downregulation and demonstrates that Mathurameha, particularly at high doses, mitigates this deficit. Restoration of GLUT1 may enhance glucose transport to the brain, supporting neuronal metabolism and potentially alleviating diabetes-associated cognitive decline. Notably, the observed upregulation of BDNF and GLUT1 may be attributed to the antioxidant and anti-inflammatory properties of Mathurameha, which could act as upstream modulators that mitigate oxidative stress and neuroinflammation, thereby promoting neuroprotective signaling pathways.

.


Figure 4 Effects Mathurameha on hippocampal BDNF and GLUT1 protein levels in a diabetic rat. (A) The level of BDNF in the hippocampus using ELISA technique B. Representative western blot images and histogram showing the quantification of GLUT1 intensity normalized to β-actin. Statistical analysis was performed using one-way ANOVA followed by Bonferroni post hoc tests. *, **, *** and **** indicate statistically significant differences at p < 0.05, p < 0.01, p < 0.001 and p < 0.0001, respectively, compared with the ND group. # indicates statistically significant differences compared to the DM group at p < 0.05.


Figure 5 Effects Mathurameha on immunofluorescence staining of GLUT1 in the hippocampus of diabetic rat. Representative immunofluorescence images illustrate the expression of GLUT1 in hippocampal subregions, including the cornu ammonis area CA1 and the dentate gyrus (DG). GLUT1 immunoreactivity, shown in green, was predominantly localized to the endothelial cells of blood vessels and astrocytes. Nuclei were counterstained with Hoechst dye and appear in blue. Scale bars represent 20 μm. The experimental groups are as follows: ND = normal diet control rats; DM = diabetic rats; DM + MH20 = diabetic rats treated with Mathurameha at 20 mg/kg; DM + MH100 = diabetic rats treated with Mathurameha at 100 mg/kg; DM + MH200 = diabetic rats treated with Mathurameha at 200 mg/kg; DM + MET = diabetic rats treated with metformin.


Conclusions

The findings of this study highlight the significant neuroprotective potential of Mathurameha, a traditional Thai herbal remedy, in HFD/STZ-induced model of type 2 diabetes. Mathurameha ameliorated diabetes-induced hippocampal neuronal damage. These effects were associated with the upregulation of BDNF and GLUT1, suggesting enhanced synaptic plasticity and improved cerebral glucose uptake. Given the established role of BDNF and GLUT1 in cognitive function and neuronal survival, the observed effects support the therapeutic potential of Mathurameha in mitigating diabetic encephalopathy and possibly delaying cognitive decline in diabetes. Further investigation into the underlying molecular mechanisms, particularly the involvement of the CREB/BDNF/TrkB signaling pathway, is warranted to fully elucidate its mode of action.


Acknowledgements

This work was supported by Mae Fah Luang University, Chiang Rai, Thailand (Grant No: 661B07010).


Declaration of generative AI in scientific writing

The authors acknowledge the use of generative AI tools (e.g., ChatGPT by OpenAI) in the preparation of this manuscript, specifically for language editing and grammar correction. No content generation or data interpretation was performed by AI. The authors take full responsibility for the content and conclusions of this work.


CRediT author statement

Utcharaporn Kumsrijai: Funding acquisition, Conceptualization, Methodology, Writing – original draft, Investigation, Formal analysis, Visualization, Project administration. Surachet Woottisin: Conceptualization, Methodology, Investigation, Resources, Project administration. Keerakarn Somsuan: Investigation, Formal analysis, Visualization. Arunothai Wanta: Investigation, Formal analysis, Visualization. Siwaporn Praman: Investigation. Narudol Teerapattarakan: Investigation, Writing – review & editing. Nanthakarn Woottisin: Investigation. Rawiwan Charoensup: Resources.


References

[1] E Młynarska, W Czarnik, N Dzieża, W Jędraszak, G Majchrowicz, F Prusinowski, M Stabrawa, J Rysz and B Franczyk. Type 2 diabetes mellitus: New pathogenetic mechanisms, treatment and the most important complications. International Journal of Molecular Sciences 2025; 26(3), 1094.

[2] IDF Diabetes Atlas. International diabetes federation. 11th eds. International Diabetes Federation, Brussels, Belgium, 2022, p. 1-130.

[3] N Aderinto, G Olatunji, M Abdulbasit, P Ashinze, O Faturoti, A Ajagbe, B Ukoaka and G Aboderin. The impact of diabetes in cognitive impairment: A review of current evidence and prospects for future investigations. Medicine 2023; 102(43), e35557.

[4] Y You, Z Liu, Y Chen, Y Xu, J Qin, S Guo, J Huang and J Tao. The prevalence of mild cognitive impairment in type 2 diabetes mellitus patients: A systematic review and meta-analysis. Acta Diabetol 2021; 58(6), 671-685.

[5] A Ciudin, A Espinosa, O Simó-Servat, A Ruiz, M Alegret, C Hernández, M Boada and R Simó. Type 2 diabetes is an independent risk factor for dementia conversion in patients with mild cognitive impairment. Journal of Diabetes and its Complications 2017; 31(8), 1272-1274.

[6] A González, C Calfío, M Churruca and RB Maccioni. Glucose metabolism and AD: Evidence for a potential diabetes type 3. Alzheimer’s Research & Therapy 2022; 14(1), 56.

[7] AKDS Brito, AVDS Mendes, BT Acha, ASDSS Oliveira, JL Macedo, AS Cruzio, MDG Prianti, RRD Abreu, M Lucarini, A Durazzo, MDCDCE Martins and DDR Arcanjo. Experimental models of type 2 diabetes mellitus induced by combining hyperlipidemic diet (HFD) and streptozotocin administration in rats: An integrative review. Biomedicines 2025; 13(5), 1158.

[8] ASD Wickramasinghe, AP Attanayake and P Kalansuriya. Biochemical characterization of high fat diet fed and low dose streptozotocin induced diabetic Wistar rat model. Journal of Pharmacological and Toxicological 2022; 113, 107144.

[9] GJ Biessels and F Despa. Cognitive decline and dementia in diabetes mellitus: mechanisms and clinical implications. Nature Reviews Endocrinology 2018; 14(10), 591-604.

[10] S Zhang, Y Zhang, Z Wen, Y Yang, T Bu, X Bu and Q Ni. Cognitive dysfunction in diabetes: abnormal glucose metabolic regulation in the brain. Frontiers in Endocrinology 2023; 14, 1192602.

[11] L Shi, M Wang, R Yu, Y An, X Wang, Y Zhang, Y Shi, C Han and J Liu. Sigma-1 receptor agonist PRE-084 increases BDNF by activating the ERK/CREB pathway to rescue learning and memory impairment caused by type II diabetes. Behavioural Brain Research 2025; 484(10365), 115493.

[12] V Cassano, A Leo, M Tallarico, V Nesci, A Cimellaro, TV Fiorentino, R Citraro, ML Hribal, GD Sarro, F Perticone, G Sesti, E Russo and A Sciacqua. Metabolic and cognitive effects of ranolazine in type 2 diabetes mellitus: Data from an in vivo model. Nutrients 2020; 12(2), 382.

[13] DS Padhy, P Aggarwal, R Velayutham and S Banerjee. Aerobic exercise and metformin attenuate the cognitive impairment in an experimental model of type 2 diabetes mellitus: Focus on neuroinflammation and adult hippocampal neurogenesis. Metabolic Brain Disease 2025; 40(1), 92.

[14] Y Li, F Li, D Qin, H Chen, J Wang, J Wang, S Song, C Wang, Y Wang, S Liu, D Gao and ZH Wang. The role of brain derived neurotrophic factor in central nervous system. Frontiers in Aging Neuroscience 2022; 14, 986443.

[15] RO Costa, LF Martins, E Tahiri and CB Duarte. Brain-derived neurotrophic factor-induced regulation of RNA metabolism in neuronal development and synaptic plasticity. Wiley interdisciplinary reviews. RNA 2022; 13(5), e1713.

[16] S Bathina and UN Das. Brain-derived neurotrophic factor and its clinical implications. Archives of Medical Science 2015; 11(6), 1164-1178.

[17] KF Azman and R Zakaria. Recent advances on the role of brain-derived neurotrophic factor (BDNF) in neurodegenerative diseases. International Journal of Molecular Sciences 2022; 23(12), 6827.

[18] K Chayarop, P Peungvicha, R Temsiririrkkul, Y Wongkrajang, W Chuakul and P Rojsanga. Hypoglycaemic activity of Mathurameha, a Thai traditional herbal formula aqueous extract, and its effect on biochemical profiles of streptozotocin-nicotinamide-induced diabetic rats. BMC Complementary and Alternative Medicine 2017; 17(1), 343.

[19] P Permphol, T Tharavanij, A Itharat, Y Srimongkol, P Chinsoi and O Chanpen. Efficacy and safety of Mathurameha for type 2 diabetes mellitus treatment. Thammasat Medical Journal 2016; 16(4), 589-599.

[20] S Piriyapornpipat and P Wasanat. A comparison of efficacy and safety of mathurameha and metformin in new-onset type 2 diabetes patients. Journal of Thai Traditional and Alternative Medicine 2020; 18(3), 478-495.

[21] S Aluksanasuwan, K Somsuan, W Chiangjong, A Rongjumnong, W Jaidee, N Rujanapun, S Chutipongtanate, S Laphookhieo and R Charoensup. SWATH-proteomics reveals Mathurameha, a traditional anti-diabetic herbal formula, attenuates high glucose-induced endothelial dysfunction through the EGF/NO/IL-1β regulatory axis. Journal of Proteomics 2024; 306, 105263.

[22] K Somsuan, S Aluksanasuwan, S Woottisin, W Chiangjong, A Wanta, N Munkong, W Jaidee, S Praman, K Fuangfoo, A Morchang, U Kamsrijai, N Woottisin, N Rujanapun and R Charoensup. Mathurameha ameliorates cardiovascular complications in high-fat diet/low-dose streptozotocin-induced type 2 diabetic rats: Insights from histological and proteomic analysis. Journal of Molecular Histology 2024; 55(6), 1177-1197.

[23] K Srinivasan, B Viswanad, L Asrat, CL Kaul and P Ramarao. Combination of high-fat diet-fed and low-dose streptozotocin-treated rat: a model for type 2 diabetes and pharmacological screening. Pharmacological Research 2005; 52(4), 313-320.

[24] K Srinivasan and P Ramarao. Animal models in type 2 diabetes research: An overview. Indian Journal of Medical Research 2007; 125(3), 451-472.

[25] R Sharma, A Kumar, BP Srinivasan, A Chauhan and K Dubey. Cardioprotective effects of Ficus religiosa in neonatal streptozotocin-induced diabetic cardiomyopathy in rats. Biomedicine & Aging Pathology 2014; 4(1), 53-58.

[26] RH Zhang, SS Cao, Y Shi, X Wang, LL Shi, YH Zhang, CJ Han, B Wang, L Feng and JP Liu. Astragaloside IV-mediated inhibition of oxidative stress by upregulation of ghrelin in type 2 diabetes-induced cognitive impairment. Naunyn-Schmiedeberg’s Archives of Pharmacology 2023; 396(10), 2637-2650.

[27] DA Magalhães, WT Kume, FS Correia, TS Queiroz, EW Allebrandt Neto, MPD Santos, NH Kawashita and SA França. High-fat diet and streptozotocin in the induction of type 2 diabetes mellitus: A new proposal. Anais da Academia Brasileira de Ciências 2019; 91(1), e20180314.

[28] K Khoramipour, MA Bejeshk, MA Rajizadeh, H Najafipour, P Dehghan and F Farahmand. High-intensity interval training ameliorates molecular changes in the hippocampus of male rats with the diabetic brain: The role of adiponectin. Molecular Neurobiology 2023; 60(6), 3486-3495.

[29] E Delanogare, S Bullich, LADS Barbosa, WM Barros, SP Braga, SI Kraus, JN Kasprowicz, GJ Dos Santos, BP Guiard and ELG Moreira. Metformin improves neurobehavioral impairments of streptozotocin-treated and western diet-fed mice: Beyond glucose-lowering effects. Fundamental & Clinical Pharmacology 2023; 37(1), 94-106.

[30] D Zhang, X He, Y Wang, X Wang, X Han and H Liu. Hesperetin-enhanced metformin to alleviate cognitive impairment via gut-brain axis in type 2 diabetes rats. International Journal of Molecular Sciences 2025; 26(5), 1923.

[31] C Phillips. Brain-derived neurotrophic factor, depression, and physical activity: Making the neuroplastic connection. Neural Plasticity 2017; 2017, 7260130.

[32] A Fujinami, K Ohta, H Obayashi, M Fukui, G Hasegawa, N Nakamura, H Kozai, S Imai and M Ohta. Serum brain-derived neurotrophic factor in patients with type 2 diabetes mellitus: Relationship to glucose metabolism and biomarkers of insulin resistance. Clinical Biochemistry 2008; 41(10-11), 812-817.

[33] B Li, N Lang and ZF Cheng. Serum levels of brain-derived neurotrophic factor are associated with diabetes risk, complications, and obesity: A cohort study from Chinese patients with type 2 diabetes. Molecular Neurobiology 2016; 53(8), 5492-9.

[34] W Liu, X Han, X Zhou, S Zhang, X Cai, L Zhang, Y Li, M Li, S Gong and L Ji. Brain derived neurotrophic factor in newly diagnosed diabetes and prediabetes. Molecular and Cellular Endocrinology 2016; 429, 106-113.

[35] SP Kamdi, A Raval and KT Nakhate. Phloridzin ameliorates type 2 diabetes-induced depression in mice by mitigating oxidative stress and modulating brain-derived neurotrophic factor. The Journal of Diabetes & Metabolic Disorders 2021; 20(1), 341-348.

[36] CY Ko, JH Xu, YM Lo, RS Tu, JS Wu, WC Huang and SC Shen. Alleviative effect of alpha-lipoic acid on cognitive impairment in high-fat diet and streptozotocin-induced type 2 diabetic rats. Frontiers in Aging Neuroscience 2021; 13, 774477.

[37] G Leal, CR Bramham and CB Duarte. BDNF and hippocampal synaptic plasticity. Vitamins and Hormones 2017; 104, 153-195.

[38] DT Radecki, LM Brown, J Martinez and TJ Teyler. BDNF protects against stress-induced impairments in spatial learning and memory and LTP. Hippocampus 2005; 15(2), 246-253.

[39] W Guo, G Nagappan and B Lu. Differential effects of transient and sustained activation of BDNF-TrkB signaling. Developmental Neurobiology 2018; 78(7), 647-659.

[40] F Xu, C Lv, Y Deng, Y Liu, Q Gong, J Shi and J Gao. Icariside II, a PDE5 inhibitor, suppresses oxygen-glucose deprivation/reperfusion-induced primary hippocampal neuronal death through activating the PKG/CREB/BDNF/TrkB signaling pathway. Front Pharmacol 2020; 11, 523.

[41] E Alpert, A Gruzman, H Totary, N Kaiser, R Reich and S Sasson. A natural protective mechanism against hyperglycaemia in vascular endothelial and smooth-muscle cells: role of glucose and 12-hydroxyeicosatetraenoic acid. Biochemical Journal 2002; 362(2), 413-422.

[42] A Jais, M Solas, H Backes, B Chaurasia, A Kleinridders, S Theurich, J Mauer, SM Steculorum, B Hampel, J Goldau, J Alber, CY Förster, SA Eming, M Schwaninger, N Ferrara, G Karsenty and JC Brüning. Myeloid-cell-derived VEGF maintains brain glucose uptake and limits cognitive impairment in obesity. Cell 2016; 165(4), 882-895.

[43] Y Riahi, Y Sin-Malia, G Cohen, E Alpert, A Gruzman, J Eckel, B Staels, M Guichardant and S Sasson. The natural protective mechanism against hyperglycemia in vascular endothelial cells: Roles of the lipid peroxidation product 4-hydroxydodecadienal and peroxisome proliferator-activated receptor delta. Diabetes 2010; 59(4), 808-818.

[44] B Thorens and M Mueckler. Glucose transporters in the 21st century. American Journal of Physiology-Endocrinology and Metabolism 2010; 298(2), E141- E145.

[45] R Duelli, MH Maurer, R Staudt, S Heiland, L Duembgen and W Kuschinsky. Increased cerebral glucose utilization and decreased glucose transporter Glut1 during chronic hyperglycemia in rat brain. Brain Research 2000; 858(2), 338-347.

[46] LL Leão, G Tangen, ML Barca, K Engedal, SHS Santos, FSM Machado, AMBD Paula and RS Monteiro-Junior. Does hyperglycemia downregulate glucose transporters in the brain? Medical Hypotheses 2020; 139, 109614.

[47] M Xia, Z Ye, Y Shi, L Zhou and Y Hua. Curcumin improves diabetes mellitus‑associated cerebral infarction by increasing the expression of GLUT1 and GLUT3. Molecular Medicine Reports 2018; 17(1), 1963-1969.